Helene's Hurricane Tracking: Live Radar & Storm Path

F.3cx 127 views
Helene's Hurricane Tracking: Live Radar & Storm Path

Helene’s Hurricane Tracking: Live Radar & Storm Path

Hey everyone, let’s dive into everything you need to know about tracking Hurricane Helene! This guide will be your go-to resource, covering live radar , storm paths , and a whole lot more. We’ll break down the latest updates, explain how to read the trackers, and give you the lowdown on what to expect. So, grab a coffee, and let’s get started!

Understanding Hurricane Helene: The Basics

First things first, what exactly are we dealing with? Hurricane Helene, like all hurricanes, is a powerful tropical cyclone. These storms are characterized by a low-pressure center, strong winds, and heavy rainfall. The intensity of a hurricane is categorized using the Saffir-Simpson Hurricane Wind Scale, which ranges from Category 1 (the weakest) to Category 5 (the strongest). This scale is based on sustained wind speeds, so it’s a crucial factor in understanding the potential impact of the storm. The tracking of Helene involves monitoring its location, intensity, and movement. This is where tools like live radar and storm path predictions come into play. These tools help meteorologists and the public alike stay informed about the hurricane’s current status and potential future impacts. We’re going to be talking about Helene’s current position , its predicted path , and any potential threats. Knowing this kind of information can help you decide how to prepare, whether it is boarding up windows, stocking up on supplies, or evacuating. This kind of information is constantly changing, so stay tuned for the most recent updates. Hurricane season typically runs from June 1st to November 30th in the Atlantic, so it’s essential to be prepared, especially during peak months like August and September. Staying informed about Helene’s trajectory , its potential landfall, and the expected impacts is critical for your safety and well-being. So, let’s explore how to access these essential resources, including live radar and storm path trackers.

Key Components of a Hurricane

Hurricanes are complex systems. Understanding their main components can help you make sense of the tracking data:

  • Eye : The calm center of the storm, often with clear skies.
  • Eyewall : The ring of thunderstorms surrounding the eye, where the strongest winds and heaviest rain occur.
  • Rainbands : Bands of thunderstorms that spiral outward from the eyewall, bringing additional rain and wind.

Understanding these elements helps in interpreting live radar images and storm path predictions. For instance, the size of the eye can indicate the intensity of the storm. A smaller eye often suggests a more powerful hurricane. The eyewall’s structure can also tell us a lot about its potential for strengthening or weakening. Analyzing these factors alongside the storm path forecasts allows meteorologists to provide more accurate predictions. During a hurricane, it’s really important to stay updated with the National Hurricane Center (NHC) or your local weather services. They’ll give you the latest advisories, warnings, and watches. These updates include information on the expected impacts, such as storm surge, heavy rainfall, and potential tornadoes. The more informed you are, the better prepared you’ll be. This is why having access to live radar and accurate storm path information is super important.

The Importance of Early Preparation

Preparation is key. If you’re in an area that could be affected by Helene , early preparation is essential. This includes developing a hurricane preparedness plan and knowing your evacuation routes. This means having a plan in place before the storm even arrives. Make sure you know where to go in case of an evacuation. Pack a kit with essentials like food, water, medications, and important documents. Check your insurance policies and ensure you have adequate coverage for storm damage. Keep trees trimmed and secure any loose objects around your property that could become projectiles in high winds. Stay informed and follow the advice of local authorities.

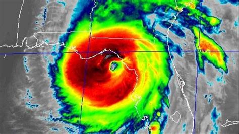
Decoding Live Radar: Your Real-Time Hurricane View

Live radar is a crucial tool for tracking hurricanes. It provides a real-time view of precipitation, allowing you to see the storm’s current location, intensity, and movement. With live radar , you can see how the storm is evolving and track changes. But how do you actually read a live radar image? Let’s break it down.

Understanding Radar Imagery

Live radar images use different colors to represent the intensity of precipitation. Generally, the colors work like this:

  • Green/Yellow : Light to moderate rain.
  • Orange/Red : Heavy rain and potentially strong winds.
  • Purple/Dark Red : Intense rainfall and severe conditions.

The specific color scales can vary depending on the radar source, but the general principle is the same: the darker the color, the more intense the precipitation. Keep in mind that live radar primarily measures precipitation, which includes rainfall, but may also show other forms like hail. When reading live radar , look for the areas of most intense precipitation, which typically correspond with the eyewall and rainbands of the hurricane. The position of these bands and their movement can give you important clues about the storm’s direction. Live radar imagery is updated frequently, so it provides a dynamic view of the storm as it unfolds. By studying live radar , you can see how the storm’s structure is changing and how it is moving. So, now, we know the colors and what they mean, we can now track Helene as it moves.

Finding Reliable Radar Sources

To access live radar for Helene , you can use a variety of sources:

  • National Weather Service (NWS) : The NWS provides live radar data on its website, including a comprehensive view of precipitation across the United States. You can access the radar map by going to the NWS website and selecting the radar option.
  • Weather Apps : Many weather apps, like AccuWeather, The Weather Channel, and local news apps, offer live radar views. These apps often provide easy-to-use interfaces, making it simple to track the storm’s progress.
  • Weather Websites : Numerous weather websites, such as Weather.com and local news websites, provide integrated live radar maps. These sites often also provide additional information, such as weather forecasts and storm tracking data.

Make sure to choose sources that are regularly updated and provide reliable information. Checking multiple sources can give you a well-rounded view of the storm. When you’re following live radar , it’s good to pair it with other information, like the storm path forecast and any official warnings or advisories. Combining all this data will help you have a full picture.

Deciphering Storm Paths: Predicting Helene’s Trajectory

The storm path , or track, is a forecast of where the hurricane is expected to go over the next few days. It’s an essential tool for understanding the potential impacts of Helene and for making informed decisions. But how do you interpret a storm path ? Let’s find out.

Understanding Storm Path Maps

Storm path maps typically display the following information:

  • The Cone of Uncertainty : This is a shaded area that shows the probable track of the storm. The cone represents the range of possible paths, based on the uncertainty in the forecast models. The larger the cone, the greater the uncertainty.
  • The Projected Path : The central line within the cone represents the most likely track of the storm, as predicted by meteorologists. The line will show the forecast positions of the storm at specific intervals, such as every 6, 12, or 24 hours.
  • Forecast Points : These are the specific locations where the storm is predicted to be at certain times. These points give you a specific timeline for the storm’s progress.
  • Intensity Forecast : Many storm path maps also include an intensity forecast, indicating the expected strength of the storm at various points along the path. This can be indicated by symbols, such as hurricane symbols with a number indicating the category.

As you read a storm path , remember that the cone of uncertainty is a critical part of the forecast. It shows the possible range of error, and the actual path of the storm could be anywhere within that area. A wider cone means there is more uncertainty in the forecast, so it’s essential to pay attention to the updates from the National Hurricane Center (NHC) and local weather services. The best way to use storm path information is to combine it with live radar and other weather data. This will give you the most comprehensive understanding of the storm. Pay special attention to the areas of the storm path that are near you. This is where you’re going to want to make sure you are up to date on everything.

Sources for Storm Path Information

You can access storm path forecasts from a few different places:

  • National Hurricane Center (NHC) : The NHC is the official source for hurricane forecasts in the United States. The NHC provides regular updates on the storm’s position, intensity, and storm path . You can find the latest forecasts on their website.
  • Weather Websites and Apps : Many weather websites and apps include storm path maps, often with interactive features that allow you to track the storm’s progress. These maps are based on the data provided by the NHC and other meteorological agencies.
  • Local News Outlets : Local news outlets often provide detailed information on hurricane forecasts, including storm paths . They may include local impact assessments and information on preparedness.

Check for the latest updates from official sources like the NHC. Cross-reference data from multiple sources to gain a complete understanding of the situation. Always stay current with the latest updates from the NHC and local weather services for the most accurate information. Also, keep an eye on live radar to know what is actually happening.

Combining Radar and Storm Paths: Making Informed Decisions

Combining live radar and storm path information is critical for making informed decisions. By understanding both the current conditions and the predicted trajectory, you can prepare effectively and stay safe. Let’s talk about how to do that.

How to Use Live Radar and Storm Paths Together

  • Track the Storm’s Movement : Use live radar to see the storm’s current location and intensity. Then, compare that with the storm path to get an idea of where the storm is headed. For example, if live radar shows the eyewall is moving towards a particular area, and the storm path indicates that the storm will continue along that path, you can anticipate potential impacts in that area.
  • Assess Potential Impacts : When you combine the data, you can assess the potential impacts of the storm. The storm path tells you where the storm is likely to go, while live radar gives you a sense of its intensity and the associated hazards. This will help you know the potential for heavy rainfall, flooding, and strong winds. Knowing how to combine all this information can help you with your preparations.
  • Plan Your Actions : Use the combined information to plan your actions. If the storm path indicates that the storm will pass near your area, and live radar shows it to be a powerful storm, you might need to take specific steps, like evacuating or reinforcing your home. Follow the advice of local authorities and take necessary precautions.

Knowing how to combine the data will help you make the right choices for your safety. When preparing, start early and gather your supplies. Make sure you have enough food and water. Also, you should have the necessary medications. Plan ahead, and stay aware of your situation.

Example Scenario: Helene Approaching

Let’s say live radar shows a large area of heavy rainfall approaching your location. The storm path indicates that Helene is projected to pass directly over your area within the next 24 hours. Given this information, you can predict potential impacts, such as heavy rainfall, strong winds, and possible flooding. To prepare, you would:

  • Secure Your Home : Make sure that windows and doors are boarded up and that any loose items are brought inside or secured.
  • Prepare for Power Outages : Charge your phones and other devices, and gather flashlights, batteries, and a generator (if you have one).
  • Stock Up on Supplies : Have enough food and water to last for several days, along with any necessary medications.
  • Monitor Official Updates : Continue to monitor live radar and the storm path for any changes in the forecast, and follow the advice of local authorities.

By staying informed and taking the appropriate steps, you can increase your safety and minimize potential damage from the storm. Always stay updated, and adjust your plans accordingly. It’s important to prioritize your safety and take any necessary precautions.

Staying Safe During Hurricane Helene

Safety is paramount when dealing with a hurricane like Helene . Here’s how to stay safe during the storm:

Before the Storm Hits

  • Follow Evacuation Orders : If local authorities issue an evacuation order, follow it immediately. Don’t delay, and leave when instructed.
  • Secure Your Home : Board up windows, secure loose objects, and bring outdoor furniture indoors.
  • Prepare an Emergency Kit : Pack a kit with essential supplies, including food, water, medications, a first-aid kit, and important documents.
  • Stay Informed : Monitor the live radar and storm path regularly and listen to the advice of local authorities.

Preparation is key. Develop a plan, pack an emergency kit, and stay informed about the storm’s progress. Staying informed and prepared will help you feel more confident and in control.

During the Storm

  • Stay Indoors : Stay inside, away from windows and doors. Go to an interior room or a safe shelter.
  • Avoid Floodwaters : Do not walk or drive through floodwaters. Turn Around, Don’t Drown.
  • Monitor Weather Updates : Keep monitoring live radar and storm path forecasts for any changes in the storm’s trajectory or intensity.
  • Report Hazards : Report any downed power lines or other hazards to the appropriate authorities.

During the storm, safety depends on your decisions. Remain indoors and keep checking live radar and the storm path . It is best to avoid any unnecessary risks.

After the Storm

  • Assess Damage : Once the storm has passed, assess the damage to your property. Take photos for insurance purposes.
  • Stay Away from Hazards : Be cautious of downed power lines, damaged buildings, and floodwaters.
  • Follow Safety Instructions : Follow the instructions of local authorities regarding safety, cleanup, and recovery.
  • Report Damage : Report any damage to your insurance company and local authorities.

After the storm has passed, continue to stay informed and follow all safety recommendations. It’s important to keep staying updated and reporting all damage that has occurred. Your safety is the most important thing. Recovery can take time, but the goal is to return things to normal.

Conclusion: Your Guide to Hurricane Helene Tracking

Tracking a hurricane like Helene can seem complicated, but with the right tools and information, you can stay informed and prepared. We’ve covered everything from understanding the basics of a hurricane to using live radar and storm path forecasts. By combining the data from live radar and the storm path , you can anticipate the potential impacts of the storm and make informed decisions. Remember to stay updated with official sources like the National Hurricane Center (NHC) and your local weather services. Early preparation, including developing a hurricane preparedness plan, packing an emergency kit, and knowing your evacuation routes, can make all the difference. Staying safe during a hurricane means staying informed and being prepared. By understanding the data, you can stay safe and protect yourself and your loved ones.

So, stay vigilant, stay informed, and stay safe. We’re all in this together, so let’s help each other out! If you have any questions or want to share your own tips, feel free to drop a comment below. Stay safe, everyone!