NHC NOAA: Real-Time Satellite Imagery For Hurricane Tracking

F.3cx 142 views
NHC NOAA: Real-Time Satellite Imagery For Hurricane Tracking

NHC NOAA: Real-Time Satellite Imagery for Hurricane Tracking

Understanding weather patterns, especially during hurricane season, is crucial for safety and preparedness. The National Hurricane Center (NHC) , part of the National Oceanic and Atmospheric Administration (NOAA) , provides invaluable resources for tracking and predicting these powerful storms. One of the most vital tools they offer is real-time satellite imagery, which gives us a bird’s-eye view of developing and existing hurricanes. Guys, in this article, we’ll dive into how you can access and interpret these images to stay informed and safe.

Accessing NHC NOAA Satellite Imagery

Getting your hands on the NHC NOAA satellite imagery is pretty straightforward. The NHC website is the primary hub for all hurricane-related information, including the satellite views. You can typically find direct links to the satellite imagery on the main page or within specific hurricane tracking pages. These images are updated frequently, providing a near-real-time look at storm systems. NOAA also utilizes various satellites, such as the GOES series (Geostationary Operational Environmental Satellites), which hover over specific locations and continuously monitor weather patterns. These satellites capture different types of data, including visible light, infrared, and water vapor imagery, each offering unique insights into the structure and behavior of hurricanes. The visible light imagery shows the clouds as they appear to our eyes, while infrared imagery detects temperature differences, helping to identify the storm’s intensity and cloud top heights. Water vapor imagery reveals the amount of moisture in the atmosphere, which is crucial for understanding the storm’s potential for development and rainfall. By combining these different types of imagery, meteorologists can get a comprehensive picture of the hurricane’s current state and predict its future path and intensity. So, make sure you bookmark the NHC website and check it regularly during hurricane season to stay updated with the latest satellite imagery and forecasts. Remember, being informed is the first step in staying safe!

Understanding Satellite Imagery: A Beginner’s Guide

Alright, so you’ve got the satellite images in front of you – great! But what do all those swirling clouds actually mean? Don’t worry; we’ll break it down. Satellite images use different color schemes to represent various atmospheric conditions. For example, in infrared images, colder cloud tops are often depicted in brighter colors, indicating higher altitude and potentially more intense storm activity. The shape and structure of the storm are also crucial indicators. A well-defined eye, for instance, usually suggests a strong and organized hurricane. The size and symmetry of the storm can also provide clues about its intensity and potential for further development. Furthermore, pay attention to the surrounding weather patterns. Are there any other weather systems interacting with the hurricane? These interactions can influence the storm’s track and intensity. Also, keep an eye out for features like outflow boundaries, which are areas where air is flowing away from the storm. These boundaries can sometimes trigger new thunderstorms or even contribute to the storm’s intensification. By carefully observing these details in the satellite imagery, you can gain a better understanding of the hurricane’s current state and potential future behavior. Remember, practice makes perfect, so don’t be afraid to explore different satellite images and compare them with the official forecasts to improve your interpretation skills.

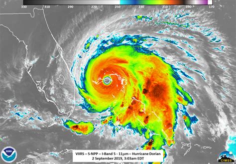
Different Types of Satellite Imagery

NOAA employs various types of satellite imagery to provide a comprehensive view of hurricanes. Visible imagery shows the storm as it would appear to our eyes, highlighting cloud formations and the overall structure. Infrared imagery detects temperature differences, with colder cloud tops indicating higher altitudes and potentially stronger storms. Water vapor imagery reveals the moisture content in the atmosphere, crucial for assessing the storm’s potential for development and rainfall. Each type offers unique insights, and meteorologists use them in combination for a complete picture. For example, visible imagery can help identify the location of the storm’s eye, while infrared imagery can reveal the temperature of the surrounding clouds, indicating the storm’s intensity. Water vapor imagery can show the amount of moisture being drawn into the storm, which can help predict how much rainfall it will produce. Additionally, some satellites use microwave technology to penetrate clouds and provide information about the storm’s internal structure, such as the location of the eyewall and the intensity of the rainbands. By using all these different types of satellite imagery, meteorologists can create a detailed picture of the hurricane and make more accurate forecasts.

How to Interpret Color Scales and Patterns

Understanding the color scales and patterns in satellite imagery is key to accurately interpreting the data. In infrared images , colder temperatures are typically represented by brighter colors, such as white or light blue, while warmer temperatures are shown in darker colors, like red or black. This is because infrared sensors detect the heat emitted by objects, and colder objects emit less heat. So, in the context of a hurricane, the brightest colors in an infrared image usually indicate the highest and coldest cloud tops, which are often associated with the most intense thunderstorms. In water vapor images , different colors represent the amount of moisture in the atmosphere. Typically, brighter colors indicate more moisture, while darker colors indicate drier air. This is because water vapor absorbs and emits radiation at specific wavelengths, and the satellite sensors can detect these signals. So, in a water vapor image, areas with bright colors indicate regions where the air is moist and conducive to cloud formation, while areas with dark colors indicate regions where the air is dry and less likely to produce clouds. By understanding these color scales and patterns, you can quickly assess the intensity and structure of a hurricane from satellite imagery. For example, a hurricane with a large area of bright white in the infrared image is likely to be a very strong storm with high cloud tops, while a hurricane with a lot of bright colors in the water vapor image is likely to be producing a lot of rain.

Using Satellite Imagery for Hurricane Tracking

Satellite imagery is indispensable for hurricane tracking. By analyzing the movement of the storm’s center and the evolution of its structure, forecasters can predict its future path and intensity. Real-time satellite data allows for continuous monitoring, enabling timely warnings and evacuations. The ability to see the storm develop and move in real-time allows forecasters to make adjustments to their predictions as needed, ensuring that the public receives the most accurate and up-to-date information. This is especially important for coastal communities that are in the direct path of the storm. With accurate tracking information, local authorities can make informed decisions about evacuations, closures, and other safety measures. Additionally, satellite imagery helps forecasters understand how the hurricane is interacting with other weather systems, such as fronts or high-pressure areas. These interactions can influence the storm’s track and intensity, so it is important to monitor them closely. Overall, satellite imagery is a critical tool for hurricane tracking, providing valuable information that helps to protect lives and property.

The Importance of Staying Updated

Guys, staying updated with the latest satellite imagery and forecasts is absolutely crucial during hurricane season. Hurricanes can change rapidly, and having access to the most current information can make all the difference in preparing and staying safe. The NHC and other weather agencies provide frequent updates, so make it a habit to check their websites and social media channels regularly. Sign up for alerts and notifications so you’re immediately informed of any significant changes or warnings. Also, don’t rely on a single source of information. Check multiple sources to get a more comprehensive view of the situation. And remember, it’s always better to be over-prepared than under-prepared. Take the time to review your hurricane plan and make sure you have all the necessary supplies. By staying informed and prepared, you can protect yourself and your loved ones from the dangers of hurricanes.

Conclusion

Satellite imagery is a powerful tool for understanding and tracking hurricanes. By knowing how to access and interpret these images, you can stay informed and make better decisions to protect yourself and your family. Remember to rely on official sources like the NHC and NOAA for the most accurate and up-to-date information. Stay safe out there, guys!