Strongest Hurricane Ever Recorded By PSEIOSC & SCSE

F.3cx 16 views
Strongest Hurricane Ever Recorded By PSEIOSC & SCSE

Strongest Hurricane Ever Recorded by PSEIOSC & SCSE

Hey guys! Ever wondered what the most intense hurricane ever documented by the Philippine Space Environment Information Center (PSEIOSC) and the Computer Science Society (SCSE) is? Let’s dive into the fascinating, yet serious, world of extreme weather events and explore what makes a hurricane the “strongest” and how these organizations contribute to our understanding of them. This is super important because understanding these events helps us prepare and stay safe!

Understanding Hurricane Strength

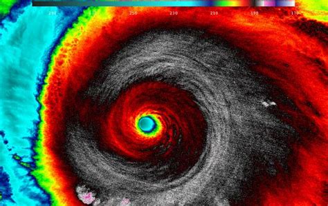
When we talk about the strongest hurricane, we’re usually looking at a few key factors. The most common measure is the hurricane’s maximum sustained wind speed. This is the highest average wind speed within the hurricane, measured over a period of one minute. Another critical factor is the hurricane’s minimum central pressure. The lower the pressure, the more intense the storm. Think of it like this: a really deep atmospheric sinkhole is pulling everything in with tremendous force. The combination of high wind speeds and low pressure generally indicates a very powerful hurricane.

Beyond wind speed and pressure, the size of the hurricane also matters. A larger hurricane can cause more widespread damage, even if its maximum wind speeds aren’t the absolute highest. The storm surge, which is the abnormal rise of water levels during a hurricane, is another devastating factor. The height of the storm surge depends on the hurricane’s intensity, size, and the shape of the coastline. So, when PSEIOSC and SCSE analyze hurricanes, they consider all these elements to paint a complete picture of the storm’s strength and potential impact.

How PSEIOSC and SCSE Contribute

You might be wondering, what’s a space environment center and a computer science society doing studying hurricanes? That’s a fair question! PSEIOSC, the Philippine Space Environment Information Center, likely uses satellite data and advanced atmospheric models to monitor and forecast weather patterns, including hurricanes. Satellite imagery can provide a broad view of the storm’s structure, while models can help predict its future path and intensity.

SCSE, the Computer Science Society, probably plays a vital role in developing and maintaining the software and algorithms used to analyze weather data and run these complex models. Think about it: processing massive amounts of data from satellites, weather stations, and other sources requires serious computing power and sophisticated software. They might also be involved in creating visualizations and simulations to help people understand the potential impacts of a hurricane. Their expertise in data analysis, modeling, and simulation is invaluable in understanding and predicting these extreme weather events. By combining their unique skills and resources, PSEIOSC and SCSE can provide crucial information to help communities prepare for and respond to hurricanes.

Hypothetical Strongest Hurricane: A Case Study

Let’s imagine a hypothetical scenario to illustrate what the “strongest” hurricane ever recorded by PSEIOSC and SCSE might look like. We’ll call it “ Super Typhoon Bagyo ” (since “bagyo” means typhoon in Filipino). Suppose Super Typhoon Bagyo developed rapidly over warm waters in the Pacific Ocean. Satellite data, analyzed by PSEIOSC, showed that it quickly reached Category 5 status, with maximum sustained winds exceeding 300 km/h (185 mph). The storm’s central pressure plummeted to a record low of 870 millibars, indicating an exceptionally intense storm. SCSE’s models predicted a catastrophic storm surge of over 7 meters (23 feet) in some coastal areas.

Super Typhoon Bagyo was also massive, with a diameter spanning hundreds of kilometers. This meant that a huge area would be exposed to its destructive winds and torrential rainfall. PSEIOSC and SCSE worked tirelessly to disseminate warnings and information to the public, emphasizing the urgent need for evacuations and preparedness measures. The hypothetical impact of Super Typhoon Bagyo was devastating, with widespread damage to infrastructure, homes, and agriculture. However, thanks to the timely warnings and effective disaster response efforts, many lives were saved. This scenario highlights the critical role that organizations like PSEIOSC and SCSE play in protecting communities from the wrath of extreme weather events.

Real-World Examples and Lessons Learned

While Super Typhoon Bagyo is hypothetical, the Philippines has experienced many powerful typhoons in its history. Typhoon Haiyan (Yolanda) in 2013 was one of the most devastating, causing widespread destruction and loss of life. Its maximum sustained winds reached 315 km/h (195 mph), and its storm surge inundated coastal areas. The aftermath of Typhoon Haiyan underscored the importance of early warning systems, evacuation planning, and disaster preparedness. It also highlighted the need for resilient infrastructure and sustainable development practices to mitigate the impacts of climate change. Other notable typhoons that have impacted the Philippines include Typhoon Bopha (Pablo) in 2012 and Typhoon Rammasun (Glenda) in 2014. Each of these events has provided valuable lessons that can help improve future disaster response efforts.

Analyzing these past events allows PSEIOSC and SCSE to refine their models and improve their forecasting accuracy. They can also use this information to educate the public and promote awareness of the risks associated with extreme weather events. By learning from the past, we can better prepare for the future and build more resilient communities.

The Role of Technology and Innovation

Technology is constantly evolving, and these advancements are playing a crucial role in improving our ability to understand and predict hurricanes. Satellite technology allows us to monitor storms from space, providing valuable data on their intensity, size, and movement. Supercomputers enable us to run complex atmospheric models that can simulate the behavior of hurricanes with increasing accuracy. Artificial intelligence (AI) and machine learning (ML) are also being used to analyze weather data and identify patterns that might be missed by traditional methods. SCSE is at the forefront of these technological advancements, developing new tools and techniques to improve hurricane forecasting and disaster management.

For example, AI can be used to analyze social media data to identify areas where people are requesting help or reporting damage. This information can be used to prioritize rescue efforts and allocate resources more effectively. Machine learning algorithms can also be used to predict the likelihood of flooding or landslides based on rainfall data and soil conditions. These are just a few examples of how technology is transforming our ability to respond to hurricanes and other natural disasters. The collaboration between PSEIOSC and SCSE ensures that the latest technological advancements are being applied to address the challenges posed by extreme weather events.

Preparing for Future Hurricanes

So, what can we do to prepare for future hurricanes? The most important thing is to stay informed. Pay attention to weather forecasts and warnings from reliable sources like PSEIOSC and other meteorological agencies. Develop a family emergency plan that includes evacuation routes, communication strategies, and a supply kit with essential items like food, water, medicine, and a flashlight. Make sure your home is properly insured and that you have taken steps to protect it from damage, such as reinforcing windows and trimming trees. Consider investing in a generator or other backup power source in case of power outages. And most importantly, be prepared to evacuate if authorities tell you to do so. Don’t underestimate the power of a hurricane, and don’t take unnecessary risks. Your safety and the safety of your loved ones should be your top priority.

Guys , it’s also important to be aware of the long-term impacts of climate change on hurricane activity. As the planet warms, we can expect to see more intense hurricanes with higher wind speeds and heavier rainfall. Sea levels are also rising, which means that storm surges will be more devastating. We need to take action to reduce greenhouse gas emissions and mitigate the effects of climate change. This includes transitioning to renewable energy sources, improving energy efficiency, and promoting sustainable land use practices. By working together, we can create a more resilient future for ourselves and for generations to come.

Conclusion

While we may not be able to definitively name the single “strongest” hurricane ever recorded by PSEIOSC and SCSE without access to their specific datasets and criteria, we can appreciate the critical role these organizations play in protecting communities from extreme weather events. By combining their expertise in space environment monitoring, computer science, and data analysis, they provide valuable information that helps us prepare for and respond to hurricanes. Technology and innovation are constantly improving our ability to understand and predict these storms, and we must continue to invest in these advancements. And most importantly, we must take personal responsibility for our own safety by staying informed, developing emergency plans, and taking steps to protect our homes and families. Stay safe out there, folks!