Super Typhoon Today: What You Need To Know

F.3cx 37 views
Super Typhoon Today: What You Need To Know

Super Typhoon Today: What You Need to Know

Hey everyone! Let’s dive into the latest on super typhoons today . These massive storm systems are a force of nature, and understanding them is super important, especially if you live in typhoon-prone areas. We’re talking about powerful winds, torrential rain, and the potential for serious destruction. When a super typhoon is on the horizon, it’s not just another weather event; it’s a situation that demands attention, preparation, and respect. The sheer scale of these storms means they can impact vast regions, affecting millions of lives, disrupting economies, and reshaping landscapes. Understanding the dynamics of a super typhoon, from its formation over warm ocean waters to its eventual landfall, is crucial for effective disaster preparedness and response. We’ll break down what makes a typhoon ‘super,’ what to expect when one hits, and how you can best prepare yourself and your loved ones. So, buckle up, guys, because we’re about to get informed!

Understanding What Makes a Typhoon ‘Super’

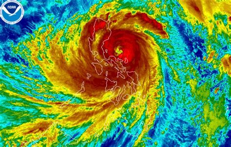
So, what exactly makes a typhoon earn that ‘super’ title? It’s all about the intensity, my friends. Meteorologists classify typhoons based on their maximum sustained wind speeds. When winds reach a staggering 150 miles per hour (240 kilometers per hour) or more, it officially gets bumped up to the ‘super typhoon’ category. To put that into perspective, that’s faster than many Formula 1 race cars! These aren’t just strong winds; they’re winds capable of ripping roofs off buildings, uprooting trees, and turning everyday objects into dangerous projectiles. The immense energy powering a super typhoon comes from the warm ocean waters, typically above 26.5 degrees Celsius (80 degrees Fahrenheit). As this warm, moist air rises and condenses, it releases latent heat, fueling the storm’s intensification. The Coriolis effect then helps to organize the rotating winds, creating that iconic spiral pattern we associate with typhoons. The longer a storm can sustain these high wind speeds over warm water, the more likely it is to reach super typhoon status. It’s a delicate balance of atmospheric and oceanic conditions that can lead to such an extreme weather phenomenon. The destructive potential is immense, with storm surges, flash floods, and widespread power outages being common consequences. Staying updated on these weather patterns isn’t just a casual interest; it’s a vital part of safety and preparedness for communities in the Pacific Rim and beyond. We need to be aware of the terminology and the thresholds that define these powerful storms so we can take appropriate action when necessary. It’s a complex dance of atmospheric forces, but the outcome – a super typhoon – is something we all need to be ready for.

The Devastating Impacts of Super Typhoons

When a super typhoon today makes landfall, the impacts can be nothing short of devastating. We’re talking about widespread destruction that can take years to recover from. The most immediate threat comes from the extreme winds . These winds can demolish homes, flatten structures, and cause catastrophic damage to infrastructure like power lines, bridges, and roads. Imagine winds strong enough to carry debris at lethal speeds – it’s a terrifying thought, and unfortunately, a reality for many. Beyond the wind, there’s the torrential rainfall . Super typhoons can dump months’ worth of rain in a matter of hours. This leads to widespread flooding, including flash floods in low-lying areas and devastating landslides in mountainous regions. Rivers can overflow their banks, inundating communities and causing immense damage to property and agriculture. Then there’s the storm surge . This is perhaps the most dangerous aspect of a typhoon hitting coastal areas. It’s a rise in sea level caused by the storm’s winds pushing water towards the shore and the low atmospheric pressure. This surge can inundate coastal communities with massive waves, causing severe flooding and erosion. The combination of these factors – wind, rain, and surge – can create a trifecta of destruction. The aftermath often includes widespread power outages, communication disruptions, and shortages of essential supplies like food and clean water. The economic toll is immense, with businesses destroyed, agricultural lands ruined, and the cost of rebuilding running into billions of dollars. Human casualties are also a tragic reality, making preparedness and evacuation efforts absolutely critical. The psychological impact on survivors, dealing with loss of homes, loved ones, and livelihoods, can also be profound and long-lasting. It’s a stark reminder of nature’s raw power and the importance of being prepared.

Preparing for a Super Typhoon: What You Should Do

Okay guys, knowing the risks is one thing, but action is what truly keeps us safe when a super typhoon today is on the way. Preparation isn’t just about boarding up windows; it’s a comprehensive plan. First off, stay informed . Seriously, folks, listen to your local weather authorities and emergency management agencies. They’ll provide crucial updates on the storm’s track, intensity, and potential impact. Don’t rely on rumors or social media alone; get your information from official sources. Develop an emergency kit . This should include essentials like non-perishable food, water (at least one gallon per person per day for several days), a first-aid kit, medications, a flashlight with extra batteries, a portable radio, and sanitation items. Think about what you’d need if you were without power and water for a few days. Secure your home . This means boarding up windows and doors, bringing in any outdoor furniture or objects that could become projectiles in high winds, and trimming any dead or weak branches from trees near your house. If you’re in a low-lying or coastal area prone to storm surge, know your evacuation route . Have a plan in place for where you’ll go and how you’ll get there. Don’t wait until the last minute; evacuation orders are given for a reason. Have a communication plan . How will you contact family members if phone lines are down? Designate an out-of-state contact person who everyone can check in with. Secure important documents . Put copies of insurance papers, identification, and financial records in a waterproof bag. If you have pets, don’t forget to include them in your preparations – have food, water, and carriers ready. Conserve water and charge electronics before the storm hits. The more prepared you are before the typhoon arrives, the safer you and your family will be. It’s about taking proactive steps to mitigate the risks associated with these powerful storms. Remember, it’s always better to be overprepared than underprepared when facing the fury of a super typhoon.

What Happens After a Super Typhoon?

After the winds die down and the rain subsides, the work of recovery begins, and it’s a massive undertaking following a super typhoon today . The immediate aftermath is often chaotic. The priority is always search and rescue operations to find anyone trapped or injured. Emergency services will be stretched thin, working tirelessly to reach affected areas. Damage assessment is the next critical step. Officials need to understand the scope of destruction to coordinate relief efforts effectively. This involves checking infrastructure like roads, bridges, and power lines to see what’s usable and what needs immediate repair. Restoring essential services is paramount. This includes getting power back on, restoring water supply, and ensuring communication networks are functional. These are vital for both immediate survival and the long-term recovery process. For many, shelter becomes the most pressing need. Homes may be destroyed or uninhabitable, requiring temporary housing solutions and support for displaced families. Food and water distribution points are set up to ensure affected populations have access to basic necessities. Medical aid is also crucial, with field hospitals and mobile clinics often deployed to treat injuries and prevent the spread of diseases. Debris removal is a monumental task that can take months, if not years. Piles of wreckage need to be cleared to allow access and begin the rebuilding process. The economic recovery is a long and arduous journey. Businesses need to reopen, livelihoods need to be re-established, and damaged infrastructure needs to be rebuilt. Government aid, international assistance, and community resilience play significant roles here. Finally, there’s the emotional and psychological recovery . Communities need support to cope with trauma, loss, and the stress of rebuilding their lives. It’s a time for solidarity, community support, and resilience. The post-typhoon phase is a testament to the strength and determination of affected communities, working together to rise from the devastation. It’s a reminder that while typhoons can bring destruction, they also reveal incredible human resilience.

Staying Safe During a Super Typhoon

Safety first, always, especially when a super typhoon today is barreling down. While preparation is key, knowing how to stay safe during the storm is equally vital. If you haven’t evacuated and are sheltering in place, stay indoors and away from windows and doors. The flying debris is incredibly dangerous. Find the most interior room in your house, preferably one without windows, like a bathroom or closet, and stay there. Listen to official warnings . Authorities might issue specific instructions during the storm, such as staying put or moving to a designated shelter if your current location becomes unsafe. Never go outside during the eye of the storm . The calm in the eye can be deceptive; the destructive winds will return with equal or greater force from the opposite direction. Wait until the storm has completely passed and authorities declare it safe to venture out. Be aware of potential hazards indoors . Watch out for falling objects, electrical hazards from downed power lines or damaged appliances, and potential water damage leading to slippery surfaces. Never use candles if possible; they pose a fire risk. Use flashlights instead. Avoid driving unless it is an absolute emergency. Roads can be flooded, blocked by debris, or damaged, and visibility will be extremely poor. If you are in a vehicle and caught in a flood, abandon it immediately and seek higher ground if possible. Stay away from floodwaters . Even shallow, fast-moving water can sweep you away. Floodwaters can also be contaminated with sewage, chemicals, or carry hidden debris. For those in coastal areas, beware of storm surge . If you are ordered to evacuate and haven’t, and the surge begins, seek the highest possible ground immediately. Your life depends on it. Prioritizing safety during the storm itself can make a significant difference in whether you weather the event unscathed. Remember, your life is more important than any possession. Stay safe, stay informed, and stay put until it’s officially safe.

The Science Behind Super Typhoons

Let’s get a little nerdy, guys, and talk about the science behind super typhoons today . These are not just random weather events; they are complex phenomena driven by specific atmospheric and oceanic conditions. The journey of a typhoon begins over tropical or subtropical waters, where ocean temperatures are warm – typically above 26.5°C (80°F) . This warm water acts as the fuel, providing the heat and moisture necessary for the storm to develop. As warm, moist air rises from the ocean surface, it cools and condenses, forming clouds and releasing latent heat . This process is like a giant engine, pumping energy into the developing storm. The Coriolis effect , caused by the Earth’s rotation, is crucial for organizing these rising air currents into a spinning vortex. In the Northern Hemisphere, this causes rotation counterclockwise, and clockwise in the Southern Hemisphere. Without the Coriolis effect, the air would just rise and fall without organizing into a storm. As the storm intensifies, a low-pressure center forms. Air rushes into this low-pressure area, gets caught in the rotation, and rises, further fueling the storm. The eye of the typhoon, the calm center, forms when air from the upper levels of the storm sinks. Around the eye is the eyewall , the region with the most intense winds and heaviest rainfall. What distinguishes a ‘super typhoon’ from a regular typhoon is the wind speed, as we’ve discussed, but also the storm’s structure. Super typhoons often have a very well-defined eye and a powerful, symmetric structure, indicating a highly efficient heat engine. Factors like low vertical wind shear (minimal change in wind speed or direction with height) and ample moisture in the atmosphere allow the storm to maintain its intensity and grow vertically. Sometimes, a phenomenon called an eyewall replacement cycle occurs, where an outer eyewall forms and replaces the inner one, causing a temporary dip in intensity before potentially strengthening again. Understanding these scientific principles helps meteorologists forecast storm intensity and track, providing crucial information for preparedness. It’s a fascinating, albeit dangerous, display of Earth’s atmospheric power. The intricate interplay of heat, moisture, rotation, and pressure gradients creates these awe-inspiring and destructive forces of nature.